Tema n°8
|
<< Click to Display Table of Contents >> Navigation: Fondazioni > Tema n°8 |
Illustrato in allegato, è indicato un edificio rurale che, previo restauro, verrà stabilmente abitato da quattro persone. L'adeguamento alle norme sismiche comporterà un incremento del carico in fondazione che passera da 12 a 18 t/ml. Sapendo che: la fondazione esistente (in muratura "a sacco") è larga m. 0.6, gamma Ya = 22 kN/mc, cu = 250 kPa, Indichi il Candidato: gli accorgimenti tecnici e/o le opere utili alla esecuzione del progetto di consolidamento; il coefficiente di sicurezza
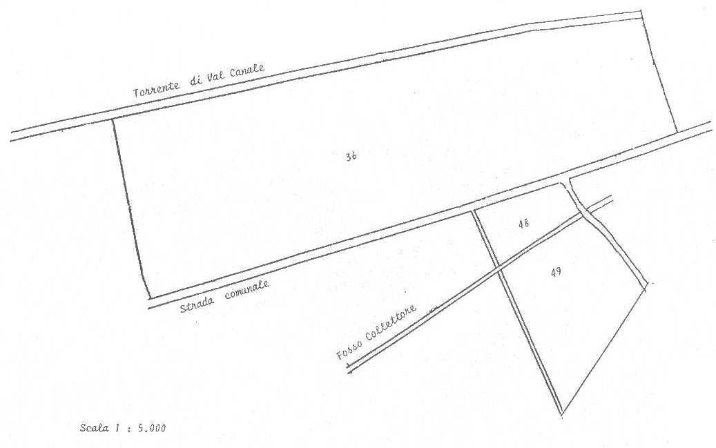
Nella particella 49 dell'allegata cartografia alla scala 1/5.000, si vuole realizzare una struttura prefabbricata per la stabulazione di n° 100 capi bovini. le indagini geognostiche hanno accertato la seguente distribuzione di terreni.
•terreno vegetale fino alla profondità di m. 0.8,
•limi argillosabbiosi giallastri per uno spessore di m. 4.7,
•argille limose grigioazzurre, sovraconsolidate, fino a m.12 dal p.c..
La superficie freatica è stata intercettata a m. 5.0 dal p.c. in periodi di massima piena.
Peso di volume del suolo gamma 1 1.70 g/mc
Peso di volume dei limi sottostanti gamma 0 1.65 t/mc
Modulo edometrico Eed nell'intervallo di pressione 1.0-1.5 kg/cmq 80 kg/cmq
coesione c' 0.1 kg/cmq
Angolo di attrito phi 24°
Nc = 19.32
Nq = 9.66
N y = 9.44000
Il Candidato dovra' :
1.definire il carico ammissibile sui limi giallastri che verranno interessati da plinti rettangolari aventi i lati di m. 1.0 e m. 1.5
2.definire il piano di appoggio di tali fondazioni, giustificandone la scelta;
3.calcolare i cedimenti, sapendo che la sovrapressione indotta è di 1.3 kg/cmq.
Infine, dovendo attuare la pratica della fertirrigazione, interessando anche le particelle 36 e 48, si chiede di :
1.dimensionare la vasca di stoccaggio indicandone gli accorgimenti tecnici prevedibili per la realizzazione;
2.verificare se l'estensione delle proprietà e' sufficiente per lo smaltimento dei liquami e se le condizioni del sottosuolo consentono tale pratica.
